Toggle navigation
interventi Naso

Rinoplastica

L'intervento, immagini pre/post, anestesia, postoperatorio, complicanze, domande e risposte

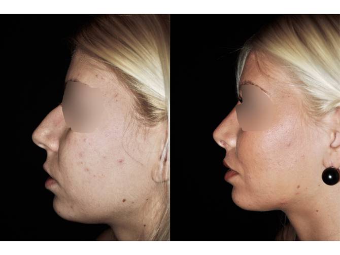
La rinoplastica è l'intervento chirurgico che consente di rimodellare il naso. 

La rinoplastica estetica è uno degli interventi più richiesti in chirurgia estetica. Usualmente si pratica per ridurre le dimensioni del naso, rimodellare la punta, rimuovere un gibbo nasale e migliorare l'angolo tra la punta nasale e il labbro superiore. Spesso questi pazienti presentano problemi funzionali ossia difficoltà respiratoria per via nasale, in tal caso è possibile associare alla rinoplastica una chirurgia funzionale (settoplastica) al fine di migliorare la funzionalità respiratoria
Una attenta valutazione del paziente nelle sue necessità estetiche, funzionali e psicologiche è una premessa fondamentale in ogni intervento di rinoplastica: 
• La valutazione funzionale in quanto il naso è principalmente un organo respiratorio e una sua alterazione richiede un'adeguata correzione 
• La valutazione estetica, corredata da una documentazione fotografica, per studiare le proporzioni del viso 
• La valutazione anatomopsichica per analizzare motivazioni e aspettative del paziente.

L'intervento

L'intervento può essere eseguito in modalità "totale chiusa" o "parziale aperta".

Nella rinoplastica totale chiusa si interviene sia sulle strutture cartilaginee (cartilagini alari, triangolari, quadrangolare) che su quelle ossee. Se viene rimosso un gibbo di grandi dimensioni, la radice del naso diviene sproporzionatamente larga per cui è necessario restringerla mediante delle fratture a carico delle ossa nasali (fratture basali). In alcuni casi è necessario aggiungere dei tessuti (più frequentemente innesti cartilaginei) per migliorare e definire il profilo nasale. In altri si deve intervenire sulla base del naso per restringerla rimuovendo due piccoli cunei di cute dalle narici. La durata dell'intervento varia da 1 a 2 ore; nei casi più complessi (reinterventi o utilizzo di innesti) può durare più di due ore.

La rinoplastica aperta viene eseguita per scelta del chirurgo o per necessità. Alcuni chirurghi prediligono questo approccio a quello convenzionale anche per casi “normali”; in casi particolari, come nei reinterventi, in caso di esiti di malformazioni, in caso di particolari deformita’ della punta nasale, e’ necessario praticare una piccola incisione esterna in corrispondenza della columella (il ponte cutaneo che separa le narici).
Tale incisione permette al chirurgo un accesso alle strutture che compongono il naso, cartilaginee e ossee.
La rinoplastica aperta può essere parziale quando si interviene solo per rimodellare la punta, o totale quando è necessario rimodellare tutto il naso.
Nella rinoplastica parziale si interviene solo sulle strutture cartilaginee (cartilagini alari), nella rinoplastica totale si interviene sia sulle strutture cartilaginee (cartilagini alari, triangolari, quadrangolare) sia su quelle ossee.
Se viene rimosso un gibbo di grandi dimensioni, la radice del naso diviene sproporzionatamente larga per cui è necessario restringerla mediante delle fratture a carico delle ossa nasali.
Il grande vantaggio della rinoplastica aperta e’ che essa permette una visione diretta dei difetti e consente di praticare una serie di manovre in modo molto preciso oltre che di aggiungere dei tessuti (più frequentemente innesti cartilaginei) per migliorare e definire il profilo nasale. In altri si deve intervenire sulla base del naso per restringerla rimuovendo due piccoli cunei di cute dalle narici.
La durata dell'intervento varia da 1 a 2 ore; nei casi più complessi (reinterventi o utilizzo di innesti) può durare più di due ore

Anestesia

La rinoplastica si pratica in anestesia generale o in neuroleptoanalgesia. In base al tipo di intervento e al tipo di anestesia l'intervento verrà programmato in day hospital o con un ricovero di una notte.

Postoperatorio

Dopo l'intervento verrà applicata una medicazione costituita da cerotti e da uno splint plastico o gessato al fine di mantenere le ossa e le cartilagini nella nuova forma. Vengono inoltre posizionati dei piccoli tamponi nasali, per proteggere il setto, che vengono rimossi dopo 24 ore.
La rinoplastica non è un intervento doloroso, l'unico inconveniente è che, fintanto che saranno presenti i tamponi, il paziente non potrà respirare con il naso. Si possono manifestare edema (gonfiore) e ecchimosi (macchie bluastre) nella regione orbitarla che regrediscono nel giro di 4-10 giorni. Lo splint nasale viene rimosso dopo una settimana. Un certo gonfiore può permanere per alcuni mesi poiché il processo di guarigione è un processo graduale che richiede sempre un periodo variabile di tempo prima di giungere a completamento.
L'aspetto finale del naso si manifesterà solo dopo alcuni mesi dall'intervento. Al fine di permettere una guarigione ottimale è necessario evitare l'esposizione al sole e quelle attività che provocano un aumento della pressione sanguigna (attività sportiva in genere) almeno per le prime settimane.
La ripresa dell'attività lavorativa dipende dal grado individuale di disconfort; in genere sono sufficienti dai 7 ai 14 giorni di riposo

Complicanze

Quando la rinoplastica chiusa è eseguita da un chirurgo esperto e qualificato, le complicanze sono rare e minori. Ciononostante, come ogni intervento chirurgico, possono manifestarsi complicanze generiche o specifiche legate al tipo di intervento eseguito. In alcuni casi possono verificarsi delle piccole irregolarità del profilo (per eccesso di tessuto cicatriziale o di tessuto cartilagineo); in tali casi può essere necessario praticare un intervento correttivo minore il più delle volte in anestesia locale.

La rinoplastica aperta comporta la presenza di una piccola cicatrice a livello columellare che solitamente col tempo diviene pressoché invisibile ma che, come tutte le cicatrici, può andare incontro a processi patologici quali l’ipo o l’iperpigmentazione o l’ipertrofia cicatriziale. Un altro problema, che la differenzia dalla rinoplastica chiusa, e’ la presenza in modi e tempi variabili di un certo maggior gonfiore postoperatorio. In alcuni casi possono verificarsi delle piccole irregolarità del profilo (per eccesso di tessuto cicatriziale o di tessuto cartilagineo); in tali casi può essere necessario praticare un intervento correttivo minore il più delle volte in anestesia locale

Domande e Risposte

Senza dubbio sembrerete qualcuno che ha subito un incidente al naso. Di profilo il naso sembrerà un po’ troppo all’insù; di fronte sarà massiccio e segnato nei punti su cui il gesso era appoggiato. Non vi preoccupate, è del tutto normale.
Gli occhiali sono vietati per uno o due mesi. Se non potete ricorrere alle lenti a contatto bisognerà fissare tutto intorno alla montatura una protezione per evitare che gli occhiali poggino sul naso.
Fino a che avrete i tamponi nelle narici dovrete respirare con la bocca. Poi tutto tornerà in ordine.
Certo, la rinoplastica non altera assolutamente il senso dell’olfatto.
Contatta il dott. Gibelli
per prenotare la tua prima visita
Dott. Pier Luigi Gibelli